Skip to main content
Round Rock Texas Banner
File #: 2015-2825   
Type: Ordinance Status: Passed
File created: 8/24/2015 In control: City Council
On agenda: 10/8/2015 Final action: 10/8/2015
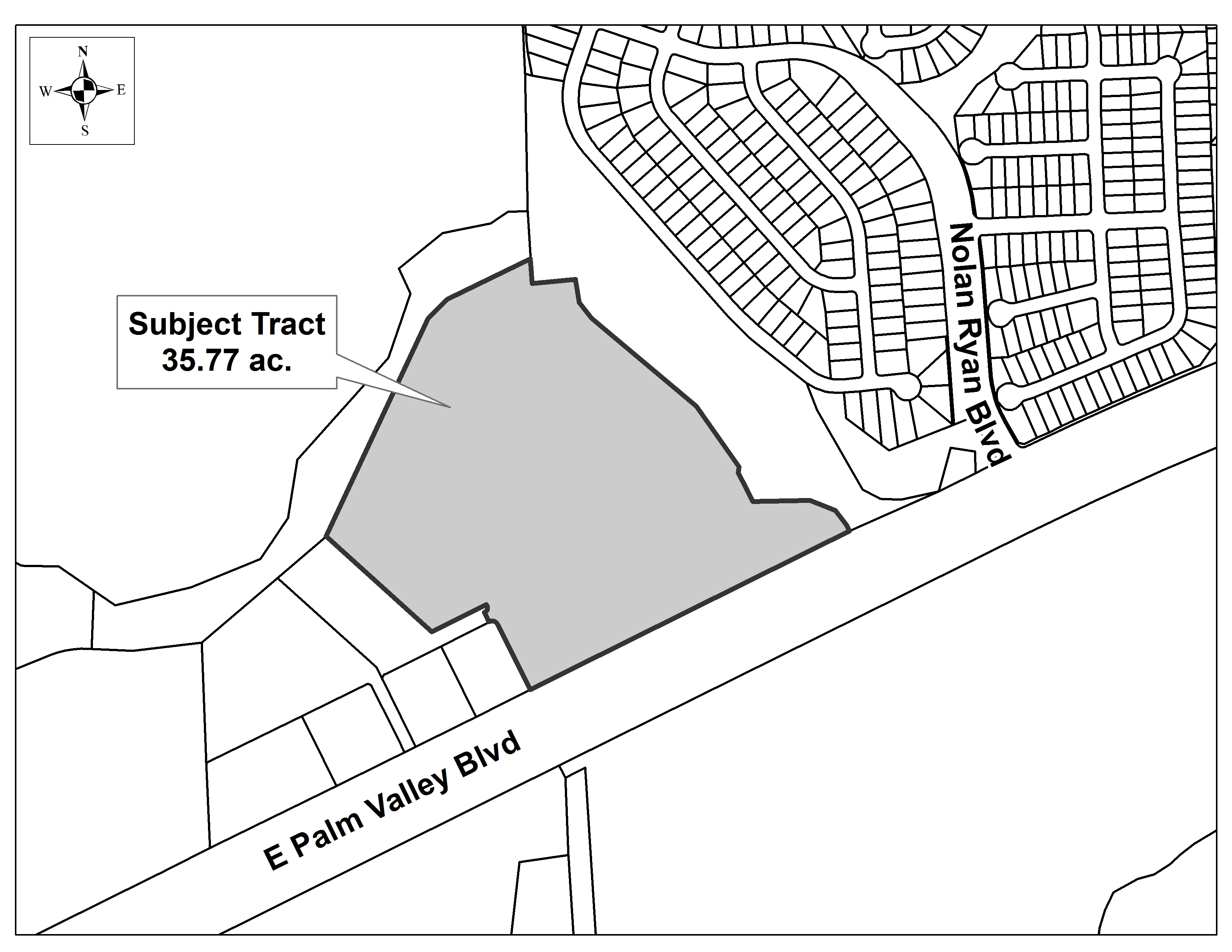
Title: Consider public testimony regarding and an ordinance rezoning 35.77 acres from the C-1 (General Commercial) and PV (Palm Valley Overlay) zoning districts to the PUD (Planned Unit Development) No. 102 zoning district known as the Diamond Oaks PUD. (First Reading)*
Attachments: 1. Ordinance, 2. Exhibit A, 3. Exhibit B, 4. Vicinity Map, 5. Aerial Photo, 6. Vicinity Map with surrounding zoning
Title
Consider public testimony regarding and an ordinance rezoning 35.77 acres from the C-1 (General Commercial) and PV (Palm Valley Overlay) zoning districts to the PUD (Planned Unit Development) No. 102 zoning district known as the Diamond Oaks PUD. (First Reading)*

Body
The PUD proposes three development parcels on the 35.77 acre tract: an approximately 25 acre residential tract and two commercial tracts of approximately 4 acres and 3 acres. When platted as lots, these parcels will be served by a non-residential private street. City code allows for this type of street when approved within a PUD. The private street must comply with City approved design and construction standards and provide perpetual public access for all lots within the development. No gating or other restrictions to access by the general public is allowed.

The residential parcel will be developed as a single family detached, common lot use. The development standards for these homes include exterior finish standards, garage door treatments and private drive aisles with parallel parking and a sidewalk on one side. The parkland requirement for this area has the potential to be met through the dedication of land within the 14+/- acre open space and drainage area to the east of the development parcel. Otherwise, the parkland requirement will be met through the payment of an in-lieu fee.

The commercial parcels will be limited and will not allow convenience stores, gas stations, auto service facilities, car washes, vehicle sales, boat or recreational vehicle sales, or self-service storage. The design standards require pedestrian access and circulation, landscaping or architectural features for primary site entrances and enhanced lighting standards to prevent commercial lighting having a negative impact on the residential area. Also included is a requirement that the exterior building materials, colors, textures and ratios of materials used be compatible with the existing buildings on a...

Click here for full text